
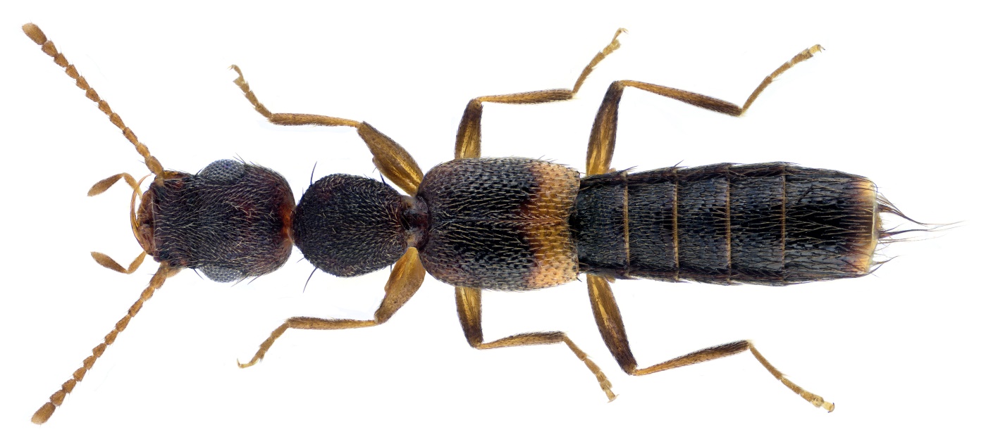
Astenus pulchellus (Heer, 1839)
Family: Staphylinidae
Size: 3.5 mm (3.3 to 4.6 mm)
Distribution: Central Asia to Scandinavia, France and British Islands
Ecology: Especially in rotting plant substrates
Location: Germany, Bavaria, Upper Franconia, Carlsgruen, Kroetenmuehle
leg.det. U.Schmidt, 11.IV.2001
Photo: U.Schmidt, 2018
Astenus pulchellus (enlarged)
Astenus pulchellus (Flickr)
Astenus pulchellus (Wikimedia Commons)

Astenus pulchellus (Heer, 1839)
Family: Staphylinidae
Description: Aedoeagus, 0.54 mm
Photo: U.Schmidt, 2018
Astenus pulchellus (Flickr)
Astenus pulchellus Genital (Wikimedia Commons)