
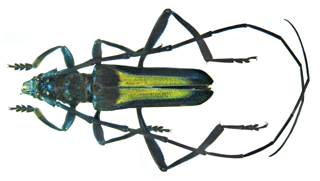
Chloridolum aureodorsalis
Huedepohl, 1989
Family:
Cerambycidae
Size: 23 mm
Location: Philippines, Romblon, Sibuyan, Espana
det. Huedepohl, 1988
HOLOTYPUS, Coll. Zool. Staatsslg., Muenchen
Photo: U.Schmidt, 2013
Location List Coleoptera Philippines (Googel Drive)
Location List Cerambycidae Oriental Region (Google Drive)