
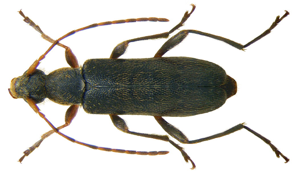
Grammoptera ruficornis (Fabricius, 1781)
Family: Cerambycidae
Size: 4.5 to 7.0 mm
Distribution: Europe
Ecology: Development in harwood
Location: Germany, Bavaria, UpperFranconia, Kulmbach, Neuenreuth
leg.det. U.Schmidt, 1975
Photo: U.Schmidt, 2009