Home Overview Families Genera Species

 

                                         

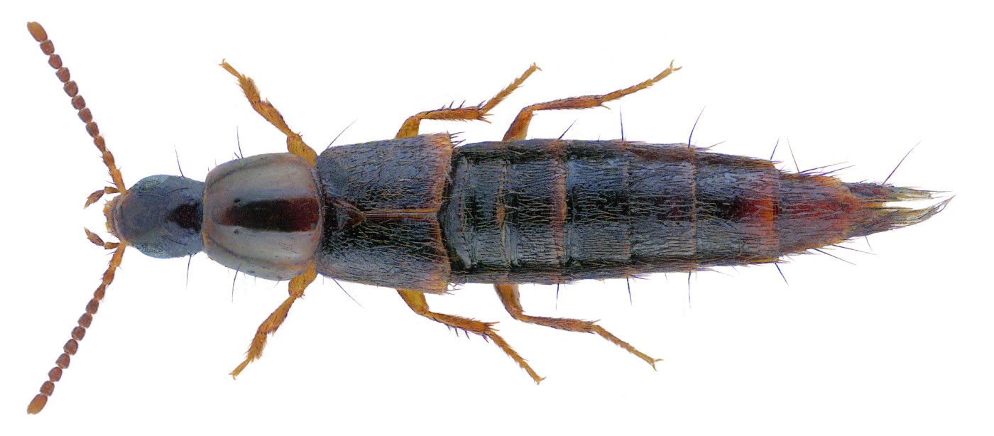
               Heterothops dissimilis (Gravenhorst, 1802)          
Family: Staphylinidae
Size: 4.5 mm (3.8 to 4.5 mm)
Distribution: Palaearctic
Ecology: Eurytop in wetlands, of rotten plants
Location: Germany, Saxonia, Plauen, Pirk, Weiße Elster valley
leg.det. U.Schmidt, 20.XI.2005
Photo: U.Schmidt, 2017

Heterothops dissimilis  (Flickr)

 

 

Heterothops dissimilis (Gravenhorst, 1802)   
(Aedoeagus)
Size: 0.9 m
Photo: U.Schmidt, 2016