
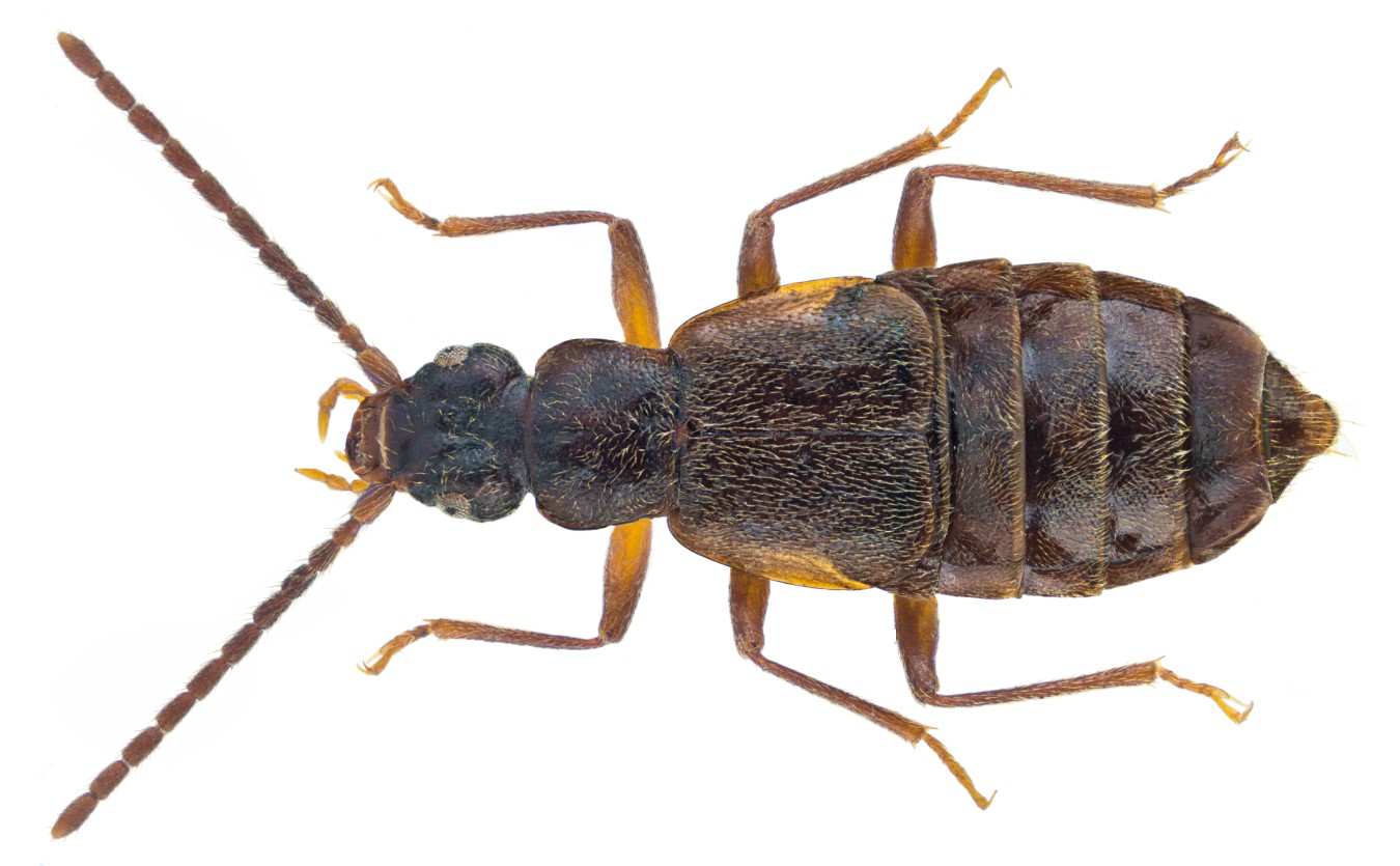
Hygrogeus aemulus (Rosenhauer, 1847)
Family: Staphylinidae
Size: 5.5 mm (4.0 to 5.6 mm)
Distribution: Alps, Appenines
Ecology: Lives in the moss of mountain streams
Location: Italy, South Tyrol, Fedaia Pass, 1600 m
leg. det. U.Schmidt, 23.VIII.1980
Photo: U.Schmidt, 2015
Hygrogeus aemulus (Flickr)