
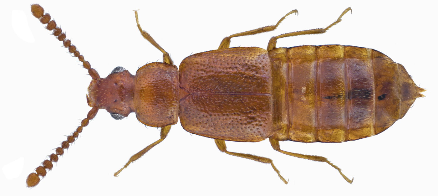
Hypopycna rufula (Erichson, 1840)
Family: Staphylinidae
Size: 2.5 mm (2.0 to 2.5 mm)
Distribution: West Palaearctic
Ecology: Lives in tree holes and in leaf liter, locally and rarely
Location: Germany, Thuringia, Huetscheroda, Hippelloch
leg. A.Weigel, 20.IX.2000; det. W.Apfel, 2001
Photo: U.Schmidt, 2015
Hypopycna rufula (enlarged)
Hypopycna rufula (Flickr)