
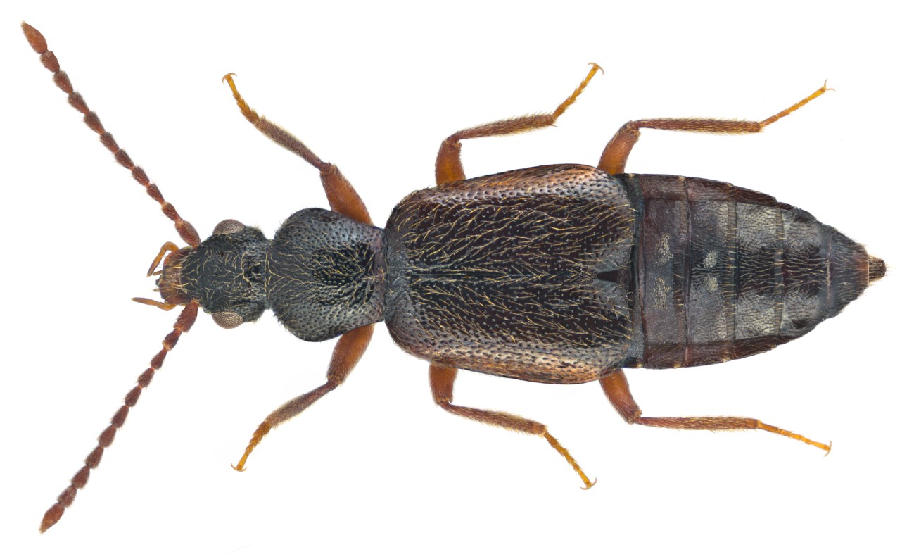
Lesteva monticola Kiesw., 1847 male Syn.:
Lesteva nivicola (Fauvel, 1872)
Family: Staphylinidae
Size: 4.8 mm (4.0 to 4.8 mm)
Distribution: West Palaearctic
Ecology: Living in mountainous regions, in moss, on stream banks
Location: Austria, Scheffau, Kaisergebirge, 1400 m
leg.det. U.Schmidt, 26.V.2001
Photo: U.Schmidt, 2015

Lesteva monticola Kiesw., 1847 male Syn.:
Lesteva nivicola (Fauvel, 1872)
Family: Staphylinidae
Description: Aedoeagus, lateral and ventral view, 0.88 mm
Photo: U.Schmidt, 2015