Home Overview Families Genera Species

 

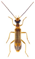
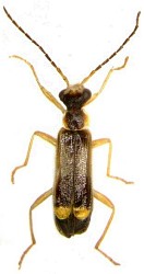
Cantharidae
(Palaearctic Region)

Malthinus

         
fasciatus flaveolus