Home Overview Families Genera Species

Cerambycidae
(Ethiopian Region)


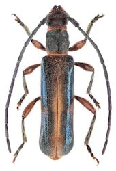
Ossibia

         
fuscata murina