Home Overview Families Genera Species

 

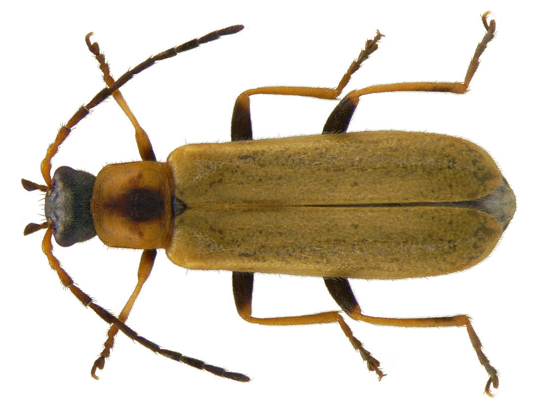
Rhagonycha limbata Thomson, 1864
Family: Cantharidae
Size: 5 to 6 mm
Distribution: Europe
Location: Germany, Bavaria, Upper Franconia, Selbitz
leg.det. U.Schmidt, 2004
Photo: U.Schmidt, 2009