Home Overview Families Genera Species

 

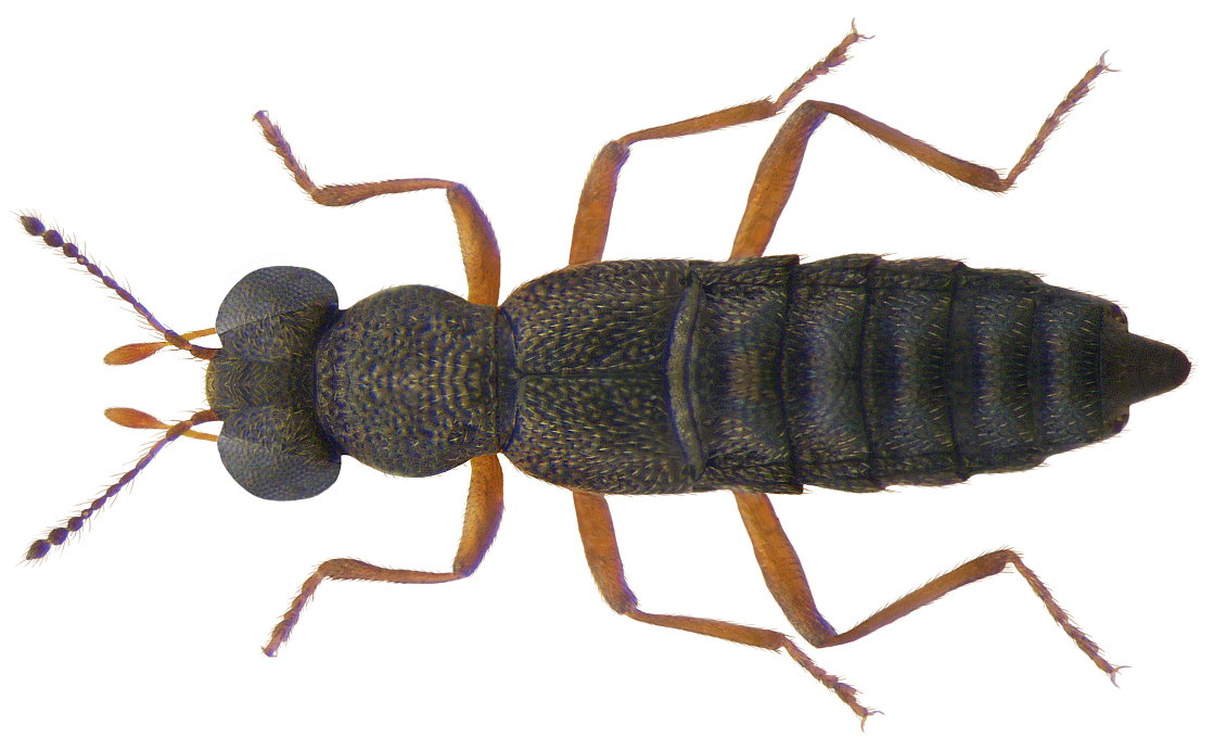
Stenus montivagus Heer, 1841
Family: Staphylinidae
Size: 2.7 to 2.9 mm
Origin: Europe
Ecology: In the higher mountains
Location: Germany, Bavaria, Fichtelgebirge, Waldstein, 850 m
leg.det. U.Schmidt, 2001
Photo: U.Schmidt, 2009