
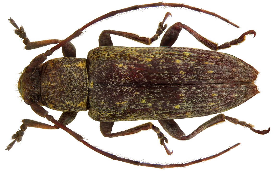
Sybra auberti
Breuning, 1950
(Weibchen) PARATYPE
Family: Cerambycidae
Size: 11.7 mm
Location: Vanuatu, Neue Hebriden, Pentecôte, Baie Melsisi
det. Breuning, 1950; Paratype, Coll. Museum Basel
Photo: U.Schmidt, 2011
Sybra auberti (Flickr)
Sybra auberti (EOl)
Location List Cerambycidae Australian Region (Google Drive)