
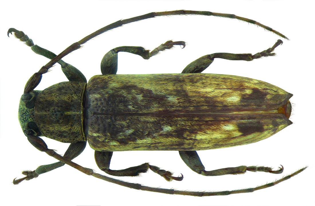
Sybra fuscoapicalis
Breuning, 1939 TYPE (Female)
Family: Cerambycidae
Size: 8.8 mm
Location: Papua Neuguinea, Kokoda
leg. L.E.Cheesman, 1933; det. Breuning, 1939
TYPE, Coll. Museum London
Photo: U.Schmidt, 2011
Location List Cerambycidae Australian Region (Google Drive)