
Sybra grisescens
Breuning, 1939 TYPE (male) restored
Family: Cerambycidae
Size: 6.3 mm
Location: Papua Neuguinea, Cyclops Mounts Sabron
leg. L.E.Cheesman, 1936; det. Breuning, 1939
TYPE, Coll. Museum London
Photo: U.Schmidt, 2011
Location List Cerambycidae Australian Region (Google Drive)

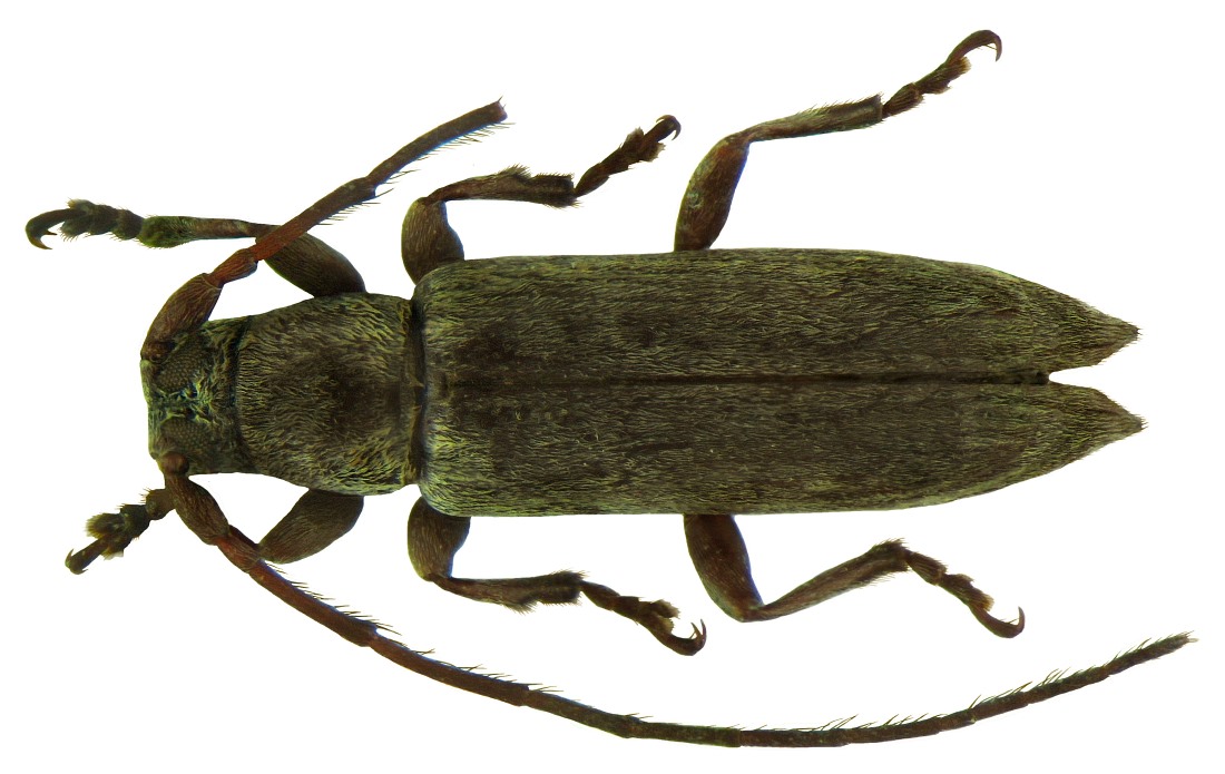
Sybra grisescens
Breuning, 1939 (male) TYPE
Family: Cerambycidae
Size: 6.3 mm
Location: Papua Neuguinea, Cyclops, Mts. Sabron, 930 ft.
leg. L.E.Cheesman, 1936; det. Breuning, 1939
TYPE, Coll. Museum London
Photo: U.Schmidt, 2011
Location List Cerambycidae Australian Region (Google Drive)