Home Overview Families Genera Species

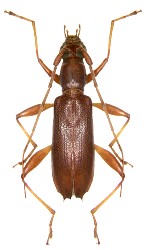
Cerambycidae
(Australian Region)

Tethionea

         
tridentata