
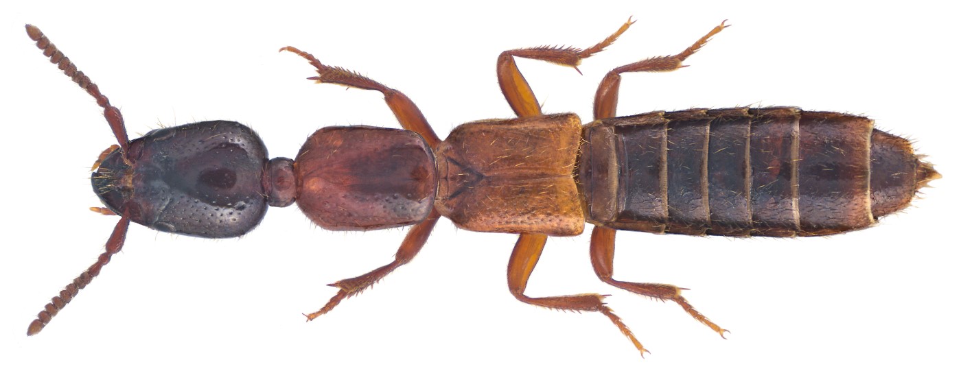
Xantholinus tricolor
(Fabricius, 1787)
Family: Staphylinidae
Size: 12.0 mm (9.0 to 12.0 mm)
Distribution: Transpalaearctic
Ecology: Lives especially in sandy and acidic soils
Location: Germany, Bavaria, Upper Franconia, Leuchau
leg.det. U.Schmidt, 25.IV.1981
Photo: U.Schmidt, 2015
Xantholinus tricolor (Wikimedia)

Xantholinus tricolor
(Fabricius, 1787)
Family: Staphylinidae
Description: Aedoeagus, 1.5 mm
Photo: U.Schmidt, 2015